Узнайте, как получить доступ
к заблокированным сайтам
sextalk.ru – Клуб Любителей Секса  18+
Наши зеркала: sextalk.ru,
forum.dosug.org, xguru.info

Oбщение >> Pro-автомобили
Новичкам: Правила КЛС
Список сокращений КЛС
Поиск отчетов по
параметрам девушек
поэт Басё

На форуме: 20 л 277 д
(с 11/06/2005)

Тем: 3
Сообщений: 12
Гайцы врубили заднюю...
      17/11/2006 13:01:48 Прикреплённые файлы

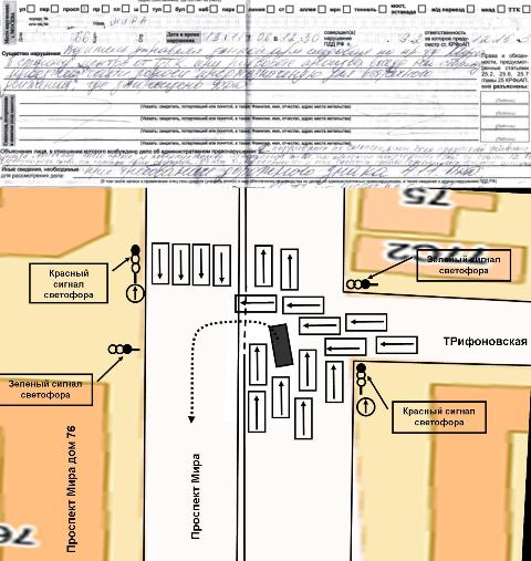
Сей казус произошел на проспекте Мира, развернулся на перекрестке с Трифоновской улицей..

Инспектор Специального батальона остановил и естественно впаял выезд на встречку!

Разумеется мною был предложен штраф, но .. странный перец заперся у себя в машине и накатал протокол.

Потом у себя в машине заперся я, и сорок минут писал две строчки объяснений, где естественно написал, что не согласен и написал свое мнение...

Но суть не в этом!

Понимая, что светит направление в суд и (как показывает практика) лишение прав в 90 % случае, решил основательно подготовиться. Напряг свои единственные две извилины, одна из которых заточена именно под это (вторая естественно под секс в ШГ).

Получились следующие два документа (+ схема, которую рисовал долго и нудно):

1. Объяснение.
2. Жалоба.

Их я приведу к конце.

Пришел на разбор.

Начальник группы разбора лениво посмотрел документы, и начал молча без слов выписывать извещение в суд.

Я: - А можно приобщить в материалам дела мое объяснение?

Инспектор: - Давайте почитаю, а вообще Вы должны здесь его написать.

Я: - Так у меня оно готово, просто приобщите к делу, так будет быстрее.

Читает, читает второй раз, третий ..

Инспектор: - Это все ерунда, вот почитайте постановление Президиума Конституционного суда!

Я: - Читал, мне все понятно и я естественно с ним согласен, то там речь идет о встречке, а у меня был разворот, и не на дороге, а на перекрестке. А это разные вещи, так в самих ПДД написано.

Инспектор: - Дорога и перекресток это одно и тоже! Ваши объяснения приобщим.

Звонит в суд, согласовывает дату суда и судебный участок.

Я: - А можно еще приобщить к материалам дела Жалобу?

Инспектор: - Какую?

Я: - На неправомерные действия сотрудника ДПС.

Инспектор: - С жалобой к начальнику!

Инспектор вручает мне извещение: - распишитесь здесь, здесь и здесь, ..досвидания!

Выхожу в коридор. Сидит дежурный.

Я: - Как пройти к начальнику?

Дежурный: - Зачем?

Я: - Подать жалобу в его канцелярию или лично ему

Дежурный звонит по телефону : - Тут из группы разбора мужчина вышел и хочет подняться к начальнику!

Пауза, случает: - Не знаю, говорит что его направили из группы разбора!

Дежурный мне: - подождите здесь!

Проходит минут пять, выходит из группы разбора инспектор, берет меня под руку предлагает выйти покурить.

Инспектор: - На фига тебе эта головная боль? Суды, свидетели и т.д…. давай выпишем тебе штраф на 500 р.

Я: - Не вопрос. Согласен!

Заходим в комнату, он достает бумаги:

- Давай я порву копию извещения и постановление о направлении в суд. А ты порви все свои объяснения и жалобы. У тебя сколько экземпляров было? Еще по два? Доставай все! Вот смотри я рву свои бумаги на твоих глазах, а ты рви свои …

Дружно рвем бумаги, он выписывает штраф я еду оплачиваю, возвращаюсь и забираю права!!!
Вот и все!!

Обяснение:::

Командиру Специального батальона ГИБДД г. Москвы
Подполковнику
Миронову Владимиру Анатольевичу

Объяснение
По делу об административном нарушении

Я, поэт Басе, 13 ноября 2006 года, управляя принадлежащим мне велосипедом я следовал по «проспекту Мира» в сторону центра от третьего транспортного кольца, в очень плотном потоке.
На пересечении с улицей Трифоновская, в районе дома № 76, двигаясь в общем потоке, на зеленый сигнал светофора выехал на перекресток, где остановился в связи с образовавшимся затором. После того как зажегся красный сигнал светофора я развернулся в левую сторону и проследовал по проспекту Мира в сторону области, где был остановлен лейтенантом Специального Батальона ГИБДД г.Москвы Мудаевым А.Н. нагрудный знак №77-ХХХХ. По факту совершенных мной действий был составлен протокол 77АЕ №ХХХХ
Согласно этому протоколу мне было вменено нарушение п. 9.2 ПДД, ответственность за которое предусмотрено статьей 12.15.ч.3.
Считаю квалификацию допущенного мною нарушения по статье КоАП РФ 12.15.3 неправильной, так как данная статья применима в случаях движения автомобиля по встречной полосе.
В моем маневре движения по встречной полосе не было, так как я совершал маневр РАЗВОРОТ.
РАЗВОРОТ не является маневром, связанным с выездом на полосу встречного движения. Согласно п. 8.1.1 ПДД Разворот запрещается только на «на пешеходных переходах; в тоннелях; на мостах, путепроводах, эстакадах и под ними; на железнодорожных переездах; в местах с видимостью дороги хотя бы в одном направлении менее 100 м; в местах остановок маршрутных транспортных средств.».
Также, ПДД РФ в статье 1.2. четко разделяют понятия «ПЕРЕКРЕСТКА» и «ДОРОГИ»!!!
П. 9.2. запрещает выезд на встречную полосу на «дорогах» (!!!), имеющих четыре полосы и более.
А совершаемый мною маневр осуществлялся на «ПЕРЕКРЕСТКЕ».
Кроме того, на данном ПЕРЕКРЕСТКЕ, в месте маневра разделительная полоса представляла собой прерывистую линию (горизонтальная дорожная разметка «1.11 - разделяет транспортные потоки противоположных или попутных направлений на участках дорог, где перестроение разрешено только из одной полосы; обозначает места, предназначенные для РАЗВОРОТА, въезда и выезда со стояночных площадок и тому подобного. Пересекать линию 1.11 разрешается для обгона, объезда, поворотов, разворотов только со стороны прерывистой линии.»).

Таким образом, считаю, что мои действия можно квалифицировать исключительно как нарушение требования предписывающего знака 4.1.1. ПДД. («движение прямо») ответственность за которое предусмотрено ст. 12.16. «Кодекса об Административных правонарушениях» РФ - «Несоблюдение требований, предписанных дорожными знаками или разметкой проезжей части дороги, за исключением случаев, предусмотренных другими статьями настоящей главы».
Кроме того, мои действия по осуществлению маневра были вызваны необходимостью, так как дальнейшее нахождение моего автомобиля на перекрестке создавало помехи для движения других автомобилей и пешеходов и привело бы к образованию затора.

В связи с вышеизложенным прошу:
- Переквалифицировать административное правонарушение в нарушение требования предписывающего знака 4.1.1. ПДД., с применением соответствующей статьи 12.16 КоАП РФ «Несоблюдение требований, предписанных дорожными знаками или разметкой проезжей части дороги, за исключением случаев, предусмотренных другими статьями настоящей главы».
- Вернуть изъятое водительское удостоверение



Жалоба:::


Командиру Специального батальона
ГИБДД г. Москвы
Подполковнику милиции Миронову В. А.

Копия: Начальнику управления ГИБДД
ГУВД по г. Москве
Генерал-майору милиции Казанцеву С.А.

Копия: В Прокуратуру г. Москвы



Жалоба
на неправомерные действия сотрудника автоинспекции

Я, поэт Басе, 13 ноября 2006 года, управляя принадлежащим мне велосипедом я следовал по «проспекту Мира» в сторону центра от третьего транспортного кольца, в очень плотном потоке.
На пересечении с улицей Трифоновская, в районе дома № 76, двигаясь в общем потоке, на зеленый сигнал светофора выехал на перекресток, где остановился в связи с образовавшимся затором. После того как зажегся красный сигнал светофора я развернулся в левую сторону и проследовал по проспекту Мира в сторону области, где был остановлен лейтенантом Специального Батальона ГИБДД г.Москвы Мудаевым А.Н. нагрудный знак №77-ХХХХ. По факту совершенных мной действий был составлен протокол 77АЕ №ХХХХХХХ
Согласно этому протоколу мне было вменено нарушение п. 9.2 ПДД, ответственность за которое предусмотрено статьей 12.15.ч.3.
Считаю квалификацию допущенного мною нарушения по статье КоАП РФ 12.15.3 неправильной, так как данная статья применима в случаях движения автомобиля по встречной полосе.
В моем маневре движения по встречной полосе не было, так как я совершал маневр РАЗВОРОТ.
РАЗВОРОТ не является маневром, связанным с выездом на полосу встречного движения. Согласно п. 8.1.1 ПДД Разворот запрещается только на «на пешеходных переходах; в тоннелях; на мостах, путепроводах, эстакадах и под ними; на железнодорожных переездах; в местах с видимостью дороги хотя бы в одном направлении менее 100 м; в местах остановок маршрутных транспортных средств.».
Также, ПДД РФ в статье 1.2. четко разделяют понятия «ПЕРЕКРЕСТКА» и «ДОРОГИ»!!!
П. 9.2. запрещает выезд на встречную полосу на «дорогах» (!!!), имеющих четыре полосы и более.
А совершаемый мною маневр осуществлялся на «ПЕРЕКРЕСТКЕ».
Кроме того, на данном ПЕРЕКРЕСТКЕ, в месте маневра разделительная полоса представляла собой прерывистую линию (горизонтальная дорожная разметка «1.11 - разделяет транспортные потоки противоположных или попутных направлений на участках дорог, где перестроение разрешено только из одной полосы; обозначает места, предназначенные для РАЗВОРОТА, въезда и выезда со стояночных площадок и тому подобного. Пересекать линию 1.11 разрешается для обгона, объезда, поворотов, разворотов только со стороны прерывистой линии.»).

Таким образом, считаю, что мои действия можно квалифицировать исключительно как нарушение требования предписывающего знака 4.1.1. ПДД. («движение прямо») ответственность за которое предусмотрено ст. 12.16. «Кодекса об Административных правонарушениях» РФ - «Несоблюдение требований, предписанных дорожными знаками или разметкой проезжей части дороги, за исключением случаев, предусмотренных другими статьями настоящей главы».
При составлении протокола инспектором Специального Батальона ГИБДД Будаевым А.Н.были допущены следующие существенные нарушения:

- После остановки инспектор Будаев А.Н. первоначально сообщил мне о нарушении мною требований предписанных дорожными знаками и разметкой проезжей части дороги, а также правил проезда перекрестка, без четкой ссылки на требования ПДД. Однако в дальнейшем в протоколе указал, что мною нарушен п. 9.2 ПДД, ответственность за которое предусмотрен статьей 12.15.ч.3..
- В протоколе неправильно указано место нарушения и место составления протокола, в частности нарушение произошло у дома номер 76 по проспекту Мира, а не у дома номер 66, протокол составлялся у дома номер 78. Дом номер 66 отсутствует в близости проезжей части «проспекта Мира», отсутствует он также и на картах города Москвы.
- При составлении протокола мне не были разъяснены права и обязанности предусмотренные ст.25.1 КоАП РФ, как участника производства по делу об административном нарушении. На мое замечание о необходимости их разъяснить, мне было предложено после составления протокола прочитать обратную сторону протокола.
- В протокол не вписан свидетель нарушения, находившийся со мной в автомобиле в момент совершения маневра - ХХХХХХХХХХХХХХХ, хотя я прямо указал на необходимость его вписать.
- В разделе «Существо нарушения» использованы формулировки общего характера и отсутствуют сведения необходимые для разрешения дела, частности не указано что маневр осуществлялся на перекрестке, характер разметки на перекрестке и сигналы светофора

Такие действия инспектора Будаева А.Н. противоречат:
- Приложению к Приказу МВД России от 20 апреля 1999 г. N 297. - «НАСТАВЛЕНИЯ ПО РАБОТЕ ДОРОЖНО-ПАТРУЛЬНОЙ СЛУЖБЫ ГОСУДАРСТВЕННОЙ ИНСПЕКЦИИ БЕЗОПАСНОСТИ ДОРОЖНОГО ДВИЖЕНИЯ МИНИСТЕРСТВА ВНУТРЕННИХ ДЕЛ РОССИЙСКОЙ ФЕДЕРАЦИИ»
- Приложению к письму от 18 июня 2003 г. N 13/ц-72 – «МЕТОДИЧЕСКИЕ РЕКОМЕНДАЦИИ ПО ОРГАНИЗАЦИИ ДЕЯТЕЛЬНОСТИ ПОДРАЗДЕЛЕНИЙ ГОСАВТОИНСПЕКЦИИ ПРИ ПРОИЗВОДСТВЕ ПО ДЕЛАМ ОБ АДМИНИСТРАТИВНЫХ ПРАВОНАРУШЕНИЯХ В ОБЛАСТИ ДОРОЖНОГО ДВИЖЕНИЯ»
- Кодексу Российской Федерации «ОБ АДМИНИСТРАТИВНЫХ НАРУШЕНИЯХ»

В связи с вышеизложенным прошу:
- Переквалифицировать административное правонарушение в нарушение требования предписывающего знака 4.1.1. ПДД., с применением соответствующей статьи 12.16 КоАП РФ «Несоблюдение требований, предписанных дорожными знаками или разметкой проезжей части дороги, за исключением случаев, предусмотренных другими статьями настоящей главы».
- Вернуть изъятое водительское удостоверение

Действия: Распечатать это сообщение   Информировать вас о новых ответах на это сообщение  
Вся тема
Тема сообщения Автор Опубликовано
* Гайцы врубили заднюю...  поэт Басё    17/11/2006 13:01:48 
. * * это, извините, никакая не задняя! (+)  techbossАдминистратор    17/11/2006 18:14:07 
. * * Re: это, извините, никакая не задняя! (+)  поэт Басё    18/11/2006 16:35:56 
. * * Re: спасибо(+)  коллега    17/11/2006 14:42:51 
. * * Re: спасибо(+)  поэт Басё    17/11/2006 14:53:44 
. * * Re: Гайцы врубили заднюю...  лялечка    17/11/2006 14:17:42 
. * * Re: Гайцы врубили заднюю...  techbossАдминистратор    17/11/2006 18:18:00 
. * * Re: Гайцы врубили заднюю...  лялечка    17/11/2006 19:31:20 
. * * Re: Гайцы врубили заднюю...  techbossАдминистратор    17/11/2006 20:10:12 
. * * Re: Гайцы врубили заднюю...  лялечка    19/11/2006 04:25:02 
. * * Re: Гайцы врубили заднюю...  techbossАдминистратор    19/11/2006 15:18:16 
. * * Re: Гайцы врубили заднюю...  лялечка    20/11/2006 23:01:38 
. * * Re: Гайцы врубили заднюю...  techbossАдминистратор    21/11/2006 01:40:22 
. * * Re: Старые кадры +  crazysmМодератор(ы)    21/11/2006 11:33:48 
. * * Re: Старые кадры +  лялечка    22/11/2006 13:36:29 
. * * Re: Старые кадры +  techbossАдминистратор    22/11/2006 16:57:34 
. * * Re: Старые кадры +  Провинциал77    22/11/2006 17:25:00 
. * * Re: Старые кадры +  techbossАдминистратор    22/11/2006 18:05:47 
. * * Ну-у-у-у...  Diggerr    22/11/2006 17:22:57 
. * * жестоко извиняюсь за оффтоп  MegaHonj    19/11/2006 18:00:37 
. * * Мораль проста не можеш не нарушай))  ящер    19/11/2006 23:37:51 
. * * Re: Гайцы врубили заднюю...(+)  Ляпсус-Трубецкой    17/11/2006 14:08:28 
. * * Re: Гайцы врубили заднюю...(+)  поэт Басё    17/11/2006 14:16:52 
. * * Re: Гайцы врубили заднюю...(+)  Ляпсус-Трубецкой    17/11/2006 15:18:49 
. * * Re: Гайцы врубили заднюю...(+)  поэт Басё    17/11/2006 16:12:46 
. * * Re: Гайцы врубили заднюю...(+)  С - КОТ    17/11/2006 16:42:42 
. * * Re: Гайцы врубили заднюю...(+)  С - КОТ    17/11/2006 16:31:30 
. * * Ну что, зачетиг+  Arty    17/11/2006 13:19:08 

Дополнительная информация:
Модератор(ы):  Совет Модераторов, Appo, crazysm, Вых, ЮристЪ 



Права:
      Вы не можете открывать новые темы
      Вы не можете отвечать на сообщения других пользователей
      HTML вкл.
      Спецразметка вкл.

Рейтинг (оценка) темы:



Перейти в конференцию:

Служба техподдержки Как разместить рекламу


     Top.Mail.Ru